CAPITAL INVESTMENTS | STREETS
Geer/Harper/1st Realignment
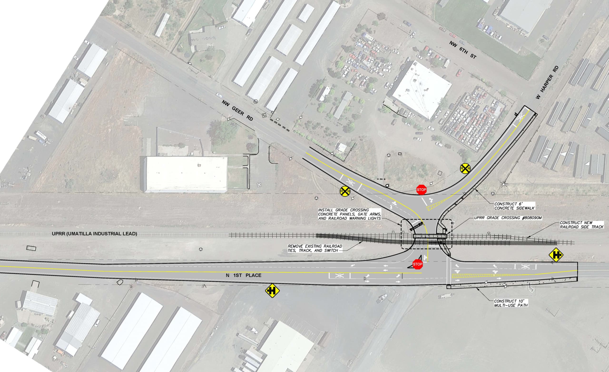
The intersecion of N.W. Geer Road, W. Harper Ave. and N. 1st Place.
DESCRIPTION
| PROJECT ID: | ST 4.0 |
| ESTIMATED COST: | $1,560,000 |
| ACTUAL COST: | TBD |
- Will redevelop the three-way intersection that also includes Union Pacific railway.
- Creation of all-way stop at Harper/1st intersection to facilitate better traffic flow to/from points east of the railroad tracks.
- Road work will include resurfacing for a smoother surface, restored drainage, and matching sidewalk elevations, with work coordinated with Union Pacific and other utilities.
- Stripes, crosswalks and manholes will also be adjusted.
WHY IT’S NEEDED
The intersection needs to be reconstructed to improve traffic and pedestrian access, and ensure connectivity to property east of N. 1st Place. The current configuration makes access difficult for large trucks, and traffic backs up on Harper Road during busy times of day.
Repair work will also eliminate extensive patching and depressed areas from traffic and development. Sidewalks will be added.
PROJECT STATUS:
In Progress
PROJECT MILESTONES
Summer/Fall 2026
Significant traffic impacts expected. Railroad crossing full closure through Spring, 2027. Temporary closures impacting through traffic on 1stPlace Summer/Fall, 2026. Temporary closures impacting local traffic circulation between Geer and Harper Summer/Fall, 2026.
Spring 2026
Crossing design approved by UPRR
Fall 2025
Design engineering begins; targeting 2026 construction
“Hermiston sets sights on redesign of Harper Road-Geer Road intersection” – Northeast Oregon Now, 1/28/20 (link)
“Confusing intersection added to Hermiston transportation priority list” – East Oregonian, 6/11/14 (link)
Summer 2025
Union Pacific Railroad accepts proposed alignment.
2024
Union Pacific Railroad provides preliminary feedback & requirements.
2023
Union Pacific Railroad begins review of proposed realignment at existing crossing.
2022
Cost-benefit of right of way acquisition shifts focus back to original alignment.
2021
Right of way acquisition begins.
2020
Union Pacific Railroad requires realignment to move Northwest to reduce track crossings.
2019
Intersection realignment first included in adopted Capital Improvement Plan.
Scheduled for
2025-26
LAST UPDATED: 04/13/26




